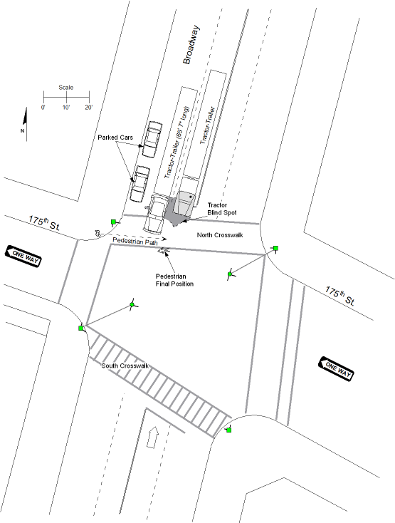
An elderly woman was attempting to cross a busy street in New York city. When she reached the intersection, she waited for the pedestrian signal to change to walk, but before the light changed to walk, two tractor-trailers stopped nearby, one waiting for the traffic light and the other double-parked in the right lane and allegedly blocking the crosswalk. When the traffic signal to cross Broadway changed to walk the pedestrian began to cross in the crosswalk but before she reached the middle of street the traffic signal for southbound vehicles changed from red to green and the first tractor-trailed accelerated forward, rolling over the pedestrian with its front right tire. This caused massive crushing injuries to her legs, which necessitated the amputation of both legs.
Although it was undisputed that the plaintiff was crossing within the crosswalk, the tractor trailer operator argued that he did not and could not see the plaintiff prior to striking her. There was also conflicting testimony regarding where the double-parked tractor-trailer was positioned at the time of the accident and what role his blocking of the crosswalk played in the accident. Technology Associates was hired to investigate the accident and prepare an animation. We found that the tractor-trailer driver did in fact have some opportunity to see the plaintiff prior to pulling forward, although his opportunity to see her was significantly reduced by the presence of illegally double-parked tractor-trailed in the right lane, regardless of which version of events one was to believe.
The case went to trial and we testified in court regarding our findings and animations. After listening to the testimony and seeing the accident reconstruction animations, both defendant tractor-trailers decided to settle the case for 3 million. Post settlement polling of the jurors indicated that they would have found for the plaintiff and awarded her 5 million.
